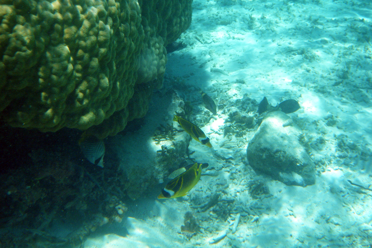
伊平屋島でスノーケリング 伊平屋島でスノーケリング:海中風景 撮影場所:米崎海岸・野甫島周辺 田名のビーチ/通称KAZUMIビーチ(リーフ内) 田名のビーチ/通称KAZUMIビーチ(リーフ外) 米崎海岸・野甫島周辺 ハマクマノミ 米崎海岸よねざきかいがんの浅瀬には魚はあまり見受けられませんが、少し深い岩場のイソギンチャクにクマノミ🐠などがいたりします。 野甫島は珊瑚と魚種の宝庫!!野甫島の裏側の海岸は波が荒い時でも泳げる入り江があり、スノーケリング中にたくさんの熱帯魚🐠や珊瑚が見られます。 たくさんの熱帯魚 カクレクマノミ クマノミ 枝珊瑚 ミスジリュウキュウスズメダイ モンガラカワハギ 田名のビーチ/通称KAZUMIビーチ(リーフ内) エサに群がる小魚たち 田名のビーチ(通称:KAZUMIビーチ)はリーフ内の浅瀬でもたくさんの熱帯魚や珊瑚が見られる場所です。 一般道からの入り口が分かりづらいのでホテルスタッフなど島人に聞いて下さい。此処も4WDでないと海岸まで下りられないので、途中の車止めに駐車して徒歩で海岸まで下りて下さい。 アオスズメダイ ツノダシ ミノカサゴ チョウチョウウオ チョウチョウウオ リーフ内も魚種が豊富 リーフ際 田名のビーチ/通称KAZUMIビーチ(リーフ外) リーフ外 リーフの際は内側・外側共に沖に向かっての潮の流れが激しく、万が一離岸流などで沖に流された場合は、 決して潮の流れに抗わず、 その流れが止まる(緩くなる)箇所まで流されよう。 その後、岸に向かって真っ直ぐではなく、斜めに向かって泳ごう。 足の付きそうな場所まで徐々に近づく事を心掛けましょう。 無理な場合は救助を待つ体制でなるべく体力を使わないようにしましょう。 幻想的なリーフ外 リーフ外の魚たち 抜群の透明度 📝リーフの際付近は沖に向かっての流れが激しく、離岸流が発生することも多々あり、泳ぎに自信のある人でも決してお薦めは出来ません。もしも行く場合は万全の体制&自己責任で臨んで下さいね。 ボート・スノーケリングやインストラクター付きのスノーケリングご希望の方は、「伊平屋島のホテルや民宿・レンタカー・遊漁船など」ページ、または伊平屋島観光協会HPを参照して下さい。